By Isabella McHugh
Staff Writer
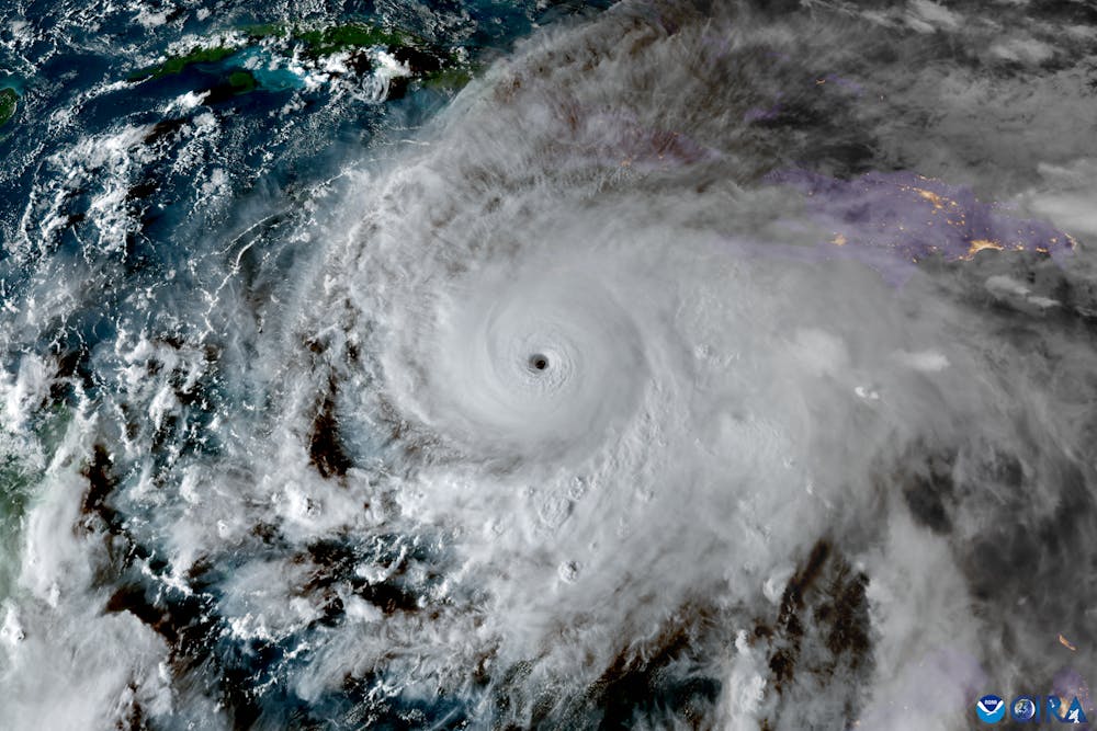
Hurricane Melissa made landfall in Jamaica as a Category 5 hurricane on Oct. 28, claiming the lives of over 30 individuals across the Caribbean according to NBC News.
The destruction didn’t stop in Jamaica. Since then, it has traveled across Haiti and Cuba as well, according to AP News. Even after striking Cuba, the hurricane is still alive, however lessened. CNN News wrote that it’s a Category 1 storm now that’s making its way through the Bahamas.
Five bodies were uncovered from the aftermath in Jamaica. Four were men, and one was a woman. They were discovered in the St. Elizabeth Parish. The structure’s roof collapsed on one of the men, and the rest were found washed ashore according to an update from the New York Times. However, AP News wrote at least eight people in Jamaica were confirmed dead.
Jennifer Small, a resident in Santa Cruz said, “I never see anything like this before in all my years living here,” according to AP News.
Many homes by the coast in Jamaica were completely torn apart. Houses, boats and other buildings were ruined as written in USA Today.
Some of those buildings included collection and storage operations for blood donations. Dr. Jacquiline Bisasor-McKenzie, Jamaica’s country’s chief medical officer said, “We are urging all Jamaicans who are able to give blood.”
Prime Minister Andrew Holness visited the Black River Hospital located in St. Elizabeth where he talked to the workers who feared for their loved ones.
“It was the most terrifying experience in all my life," a hospital worker said. "It is beyond imagining. At one point it was as if missiles were blowing through the glass,” according to Reuters.
Haiti suffered over 25 casualties, and are still searching for 18 missing people according to Haiti’s Civil Protection Agency.
The hurricane struck Cuba as a Category 3 storm. Even though it didn’t enter quite as strong as when it first hit, the storm was able to cause significant damage. Residents in the Bahamas are told to be prepared for heavy rainfalls and fierce winds according to Newsweek.
The hurricane passed through Cuba, only 25 miles west of Santiago de Cuba, one of their most highly populated cities. Hundreds of thousands of people were forced to flee their homes before the storm wiped them out according to Reuters.
With winds up to 185 miles per hour, Hurricane Melissa is one of the most devastating storms ever witnessed rising up from the Atlantic ocean according to ABC News. It is rivaled by only two other major hurricanes: Hurricane Dorian which happened in 2019, and the “Labor Day” Hurricane from 1935.
Scientists believe these hurricanes are “intensifying faster with greater frequency as a result of warming ocean waters caused by greenhouse gas emissions,” as written in Reuters.
Citizens and officials who were impacted by the hurricane must look to rebuild after the major losses.
"This was a historic and devastating storm for the western Caribbean. The recovery and rebuilding process after a direct hit from a Category 5 storm could take a decade or longer," said Alex DaSilva, lead hurricane expert at AccuWeather in USA Today.






